【おすすめ】【売地】呉市広中新開3丁目物件番号:00000
- 一般公開物件
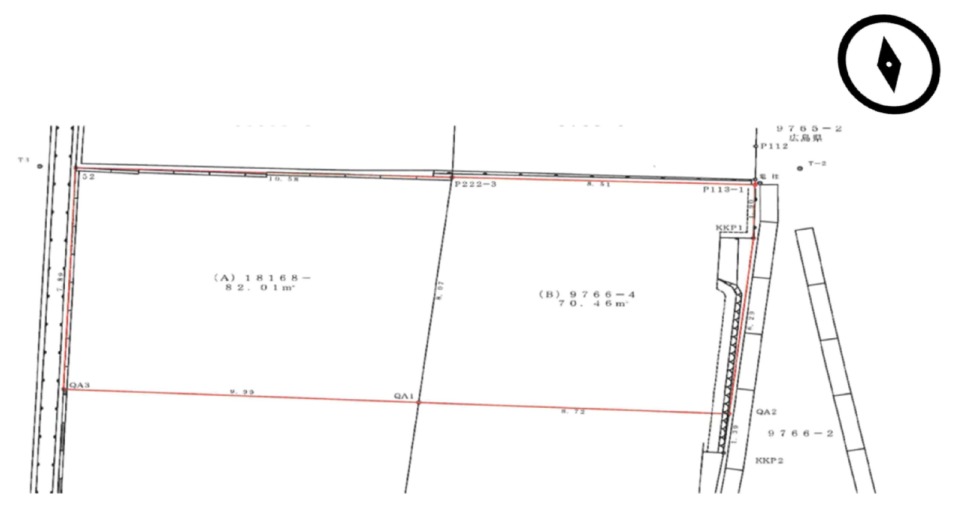
- 呉市広中新開3丁目
- 152.47m²
- 2770万円
【建築条件無し・解体更地渡し】お好きなハウスメーカーで建てられます♪
学校・保育園が近隣にあり、子育て世帯にうれしい住環境です!
建物プランのご相談も承っております!
■実測取引 ■都市ガス ■弁天橋バス停/徒歩2分
*藤三広ショッピングセンター/徒歩13分
*ウォンツ広本町店/徒歩11分
*ファミリーマート広中新開店/徒歩1分
*広中央中学校/徒歩6分
*広小学校/徒歩9分
*中新開保育所/徒歩8分
物件データ
【所在地情報】
| 住所 |
呉市広中新開3丁目 |
交通 |
弁天橋バス停 徒歩2分
|
| 小学校区 |
広小学校 |
中学校区 |
広中央中学校 |
【価格情報】
| 価格 |
2770万円 |
坪単価 |
60万円 |
| その他負担金 |
- |
負担金備考 |
- |
【広さ・道路】
| 面積 |
152.47m²(46.1坪) |
建築条件 |
建築条件なし |
| 接道 |
東側 公道 道路幅約20m 間口8.1m
|
私道 |
- |
| セットバック |
- |
|
|
【権利情報】
| 土地権利 |
所有権 |
借地権割合 |
- |
| 借地料 |
- |
権利金 |
- |
| 保証金 |
- |
敷金 |
- |
| 借地期間 |
- |
|
|
【制限事項】
| 都市計画 |
- |
建築許可理由 |
- |
| 建ぺい率 |
80% |
容積率 |
300% |
| 用途地域 |
近隣商業 |
地目 |
宅地 |
| 最適用途 |
- |
建築条件 |
更地渡し(建築条件なし) |
| その他規制 |
- |
|
|
【現況・設備情報】
| 現況 |
古家付 |
明け渡し |
相談 |
| 利用用途 |
- |
特記事項 |
- |
| 設備 |
都市ガス/上水道/下水道 |
その他 |
- |